Đăng nhập Đăng ký

Bán bất động sản đường nhựa 5,5m Thị Trấn Thạnh Mỹ, Huyện Nam Giang, Đà Nẵng

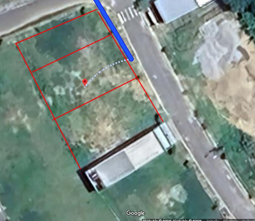
Vị trí:
Bán đất tại Thị trấn Thạnh Mỹ - Huyện Nam Giang - Quảng Nam
Giá: 570 TriệuDiện tích: 90 m²
In bài này Lưu tin

Mô tả chi tiết

📍 Vị trí đắc địa
- Nằm ngay trung tâm Thị trấn Thạnh Mỹ – Nam Giang
- Mặt đường 5m5, sát Quốc lộ 14B – giao thông kết nối thuận lợi
- Gần trường học, chợ, khu dân cư sầm uất
- Khu vực đang phát triển mạnh, tiềm năng tăng giá vượt trội
🏡 Thông tin lô đất
- Diện tích: 90m² vuông vức
- Pháp lý rõ ràng, sang tên nhanh chóng
- Thích hợp để an cư lâu dài hoặc đầu tư sinh lời
💰 Chỉ từ 5xx triệu – cơ hội sở hữu ngay lô đất trung tâm!
📲 Liên hệ ngay 0852,86,88,83 để giữ lô đất đẹp với giá ưu đãi nhất hôm nay!
Hình ảnh (6) Bản đồ

Thông tin chi tiết

Mã tin15978883
Hướng ban côngKXĐ
Đường vào5.5 m
Mặt tiền6 m
Ngày đăng tin07/03/2026
Ngày hết hạn07/06/2026

Thông tin liên hệ

Tên liên lạcCuong Nguyen
Di động0852868883

Thông tin chi tiết

Mã tin15978883
Hướng ban côngKXĐ
Đường vào5.5 m
Mặt tiền6 m
Ngày đăng tin07/03/2026
Ngày hết hạn07/06/2026

Thông tin liên hệ

Tên liên lạcCuong Nguyen
Di động0852868883
Email
Nhà đất bán Nhà đất cho thuê
Bán đất theo Thị trấn tại huyện Nam Giang
Tin đã lưu